Navigatie overslaan

Uitgevlogen

Steenuil

Uitgevlogen

Kerkuil

Uitgevlogen

Slechtvalk

Uitgevlogen

Koolmees

Uitgevlogen

Bosuil

Uitgevlogen

Tapuit

Uitgevlogen

Torenvalk

Uitgevlogen

Merel

Uitgevlogen

Gekraagde roodstaart

Uitgevlogen

Boerenzwaluw

Uitgevlogen

Boerenlandvogels

Uitgevlogen

Zeearend

Geen broedsel

Vijver

Geen broedsel

Visarend

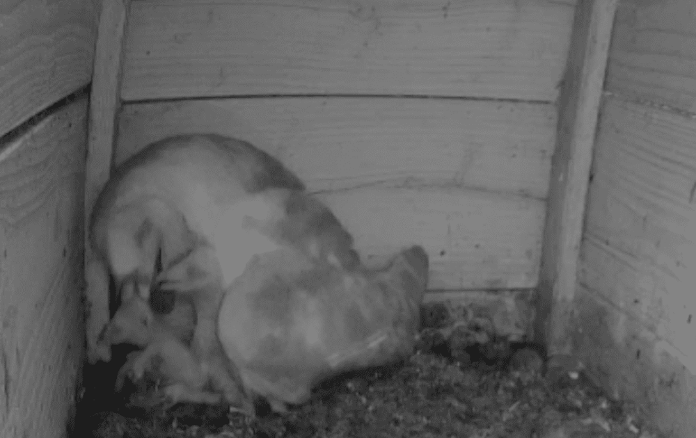
Ze groeien als kool

Esther Heideveld | Geplaatst op 3 juni 2022, 23:00 | Vind ik leuk | Bewaar dit filmpje | 411x

Het is weer etenstijd! Moeder kerkuil scheurt de muis in stukken en K1 schrokt al grote stukken naar binnen. Je kunt nu goed zien hoeveel verschil in grootte er is tussen het jongste en oudste kuiken. 


Deze filmtip is ingestuurd door birdie52 en anderen


Bekijk meer filmpjes over

Kerkuil Eieren & Broeden Voeden & Eten Alle Beleef de Lente filmpjes